Investigadores del chagas difundirán últimos avances

En Chuquisaca, la mitad de los mayores de 15 años tienen esta enfermedad

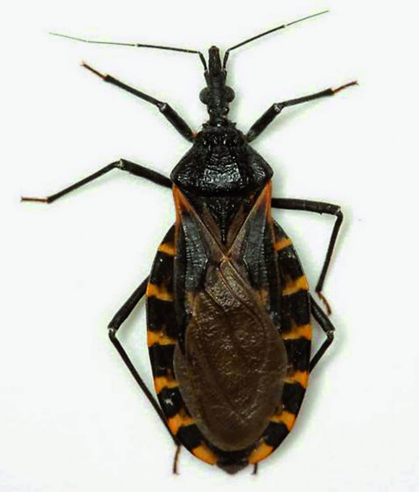
CHAGAS. La vinchuca es la portadora. CHAGAS. La vinchuca es la portadora.

Evelyn Campos López
Local / 17/10/2016 04:03

Sucre será sede de las Jornadas de Actualización de la Enfermedad de Chagas, donde participarán investigadores y expertos de todo el mundo. El evento se realizará en el Centro Internacional de Convenciones, el 27 y 28 de octubre de 2016.

Según el jefe de Epidemiología del Servicio Departamental de Salud (SEDES), Jhonny Camacho, el problema del chagas traspasó las fronteras del país debido a la migración de bolivianos a otras latitudes del mundo y captó la atención de científicos europeos.

Durante dos días, expertos de Europa, Centro y Sud América expondrán sus investigaciones y experiencias sobre los avances en cuanto a la detección y diagnóstico del Chagas y el manejo de situaciones adversas.
También se hablará sobre el Chagas congénito, el Chagas crónico infantil y el Chagas crónico en el adulto.

Descripción de la imagen responsive

El objetivo es posicionar a Chuquisaca y por ende a Bolivia como un país que quiere retomar el tema del Chagas con fuerza, para que deje de ser una enfermedad de las comunidades olvidadas, “no hay que olvidar que en el Departamento la mitad de las personas mayores de 15 años tienen esa enfermedad”, recordó Camacho.

El Chagas es una enfermedad desatendida y olvidada, por ejemplo no hay una mejora en la variedad y en la presentación de los medicamentos, sólo hay en tabletas y para darle a un niño hay que fraccionar o diluir. Los medicamentos no están mercantilizados, podrían elaborarse en cápsulas blandas, en gel, es decir adecuar su forma de acuerdo con las edades de los pacientes.

“Será un evento de alto nivel que dejará muchas enseñanzas al sector de salud de todo el país”, dijo Camacho.

Etiquetas:
  • Chuquisaca
  • Chagas
  • SEDES
  • Compartir:

    También le puede interesar


    Lo más leido

    1
    2
    3
    4
    5
    1
    2
    3
    4
    5
    Suplementos


      ECOS


      Péndulo Político


      Mi Doctor